Abstellfläche im Gewerbegebiet Luhdorf
21423 Winsen (Luhe), Gewerbe zur Miete
Objektdaten
-
Objekt-ID46641
-
ObjekttypenGewerbe, Grundstück
-
Adresse21423 Winsen (Luhe)
-
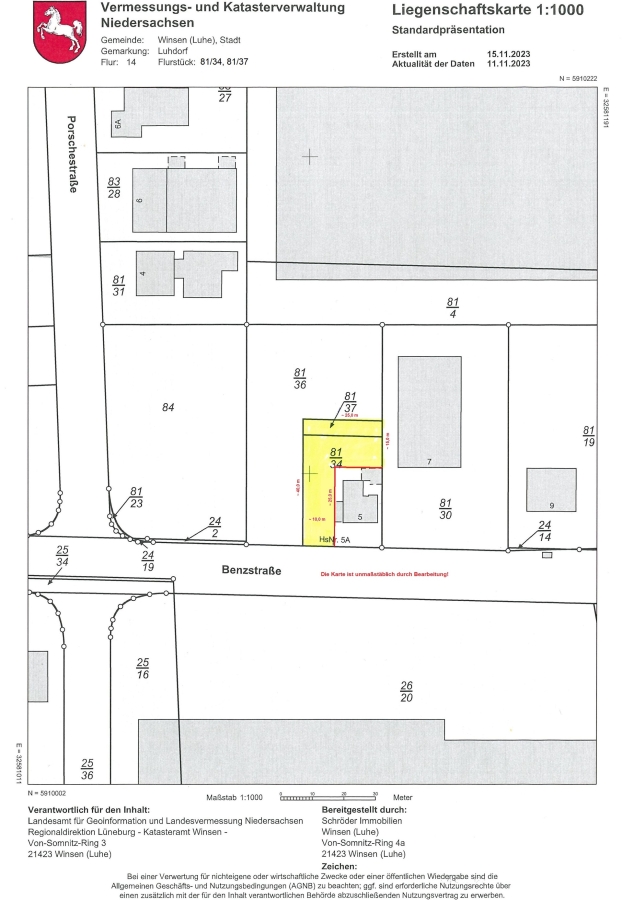
Gesamtfläche ca.625 m²
-
Grundstück ca.625 m²
-
Mieterprovision (gewerblich)3 Kaltmieten zzgl. MwSt.
-
Kaution3.300,00 EUR
-
Kaltmiete1.100,00 EUR
Objektbeschreibung
Beschreibung
Insgesamt stehen Ihnen hier 750 m² Lager- bzw. Stellfläche zur Verfügung.
Befestigt sind Zufahrt und Fläche mit dem Mineralgemisch B2. Das Gelände ist eingezäunt.
Lage
Das Gewerbegebiet Winsen (Luhe) - Luhdorf, liegt im Landkreis Harburg direkt an der Autobahnanschlussstelle Winsen Ost A39.
Anschrift: Benzstr. 5, 21423 Winsen (Luhe)
Der Standort zeichnet sich insbesondere durch eine hervorragende Sicht- und Erreichbarkeit sowie Produktivität aus. So erreichen Sie die Autobahn in 3 Minuten, den Winsener Stadtkern und den Bahnhof in 5-7 Minuten. Unternehmen aus den unterschiedlichsten Branchen haben sich hier angesiedelt. Darunter auch innovative High-Tech- Unternehmen.
Winsen (Luhe) hat als Kreisstadt eine überdurchschnittlich große wirtschaftliche Bedeutung. Der Landkreis Harburg hat sich in den vergangenen Jahrzehnten so dynamisch entwickelt, dass sich die Bevölkerungszahl innerhalb von 70 Jahren nahezu vervierfacht hat. Die günstige Lage in der Metropolregion Hamburg und die sehr gute überörtliche Verkehrsinfrastruktur, machen den Landkreis Harburg auch zu einem attraktiven Standort für Ihr Unternehmen.
Verkehrsanbindung:
per LKW - direkter Anschluss von der A39 an die A7 Hamburg/Hannover und an die A1 Lübeck/Bremen, Bahnhof in Winsen (Luhe), Bushaltestelle direkt vor der Tür. (Die gesamten Landkreise Stade, Harburg und Lüneburg gehören zum Hamburger Verkehrsverbund HVV). Weitere Informationen finden Sie unter www.winsen.de.
Die ungefähre Position der Immobilie auf Google Maps ansehen (Link auf externe Website)
Sonstige Informationen
Mietkaution: 3 Nettomieten
Courtage für den Mieter: 3 Nettomieten zzgl. Mwst.
Der Mietpreis versteht sich als Nettomietpreis zzgl. der gesetzlich geltenden MwSt.
Ihr Ansprechpartner: Stephan Schulze
Bei Interesse senden Sie bitte eine E-Mail an schulze@schroderimmobilien.de
Mit diesem Kurzexposee bieten wir Ihnen unsere Maklerdienste an. Alle Angaben zu dem Objekt haben wir nach bestem Wissen aufgrund der uns zur Verfügung stehenden Auskünfte des Eigentümers gemacht. Eine Haftung für die Richtigkeit und Vollständigkeit können wir nicht übernehmen.
Verbraucherinformation gemäß Fernabsatzgesetz
Diese Informationen dienen der Erfüllung von Informationspflichten aufgrund gesetzlicher Vorschriften, wenn die Beteiligung von Schröder Immobilien, Inh. Jörg Schröder, Von-Somnitz-Ring 4a, 21423 Winsen (Luhe) ausschließlich unter Verwendung von Fernkommunikationsmitteln zustande kommt. Fernkommunikationsmittel und Kommunikationsmittel, die zur Anbahnung oder zum Abschluss eines Vertrages zwischen einem Verbraucher und einem Unternehmer, ohne gleichzeitige körperliche Anwesenheit der Vertragsparteien eingesetzt werden, können insbesondere Briefe, Kataloge, Telefonanrufe, Telekopien, E - Mails sowie Rundfunk, Tele- oder Mediendienste sein.
Widerrufsbelehrung
Widerrufsrecht
Sie können Ihre Vertragserklärung innerhalb von 14 Tagen ohne Angabe von Gründen in Textform (z.B. Brief, Fax, E-Mail) widerrufen. Die Frist beginnt nach Erhalt dieser Belehrung in Textform, jedoch nicht vor Vertragsschluss und auch nicht vor Erfüllung unserer Informationspflichten gemäß Artikel 246 § 2 in Verbindung mit § 1 Absatz 1 und 2 EGBGB sowie unserer Pflichten gemäß § 312g Absatz 1 Satz 1 BGB in Verbindung mit Artikel 246 § 3 EGBGB. Zur Wahrung der Widerrufsfrist genügt die rechtzeitige Absendung des Widerrufs.
Der Widerruf ist zu richten an:
Schröder Immobilien
Inhaber Jörg Schröder
Von-Somnitz-Ring 4a
21423 Winsen (Luhe)
Tel.: +49 (0) 4171 88 18 11
Fax: +49 (0) 4171 88 18 33
Email: info@schroederimmobilien.de
Widerrufsfolgen
Im Falle eines wirksamen Widerrufs sind die beiderseits empfangenen Leistungen zurück zu gewähren und ggf. gezogene Nutzungen (z.B. Zinsen) herauszugeben. Können Sie uns die empfangene Leistung sowie Nutzungen (z.B. Gebrauchsvorteile) nicht oder teilweise nicht oder nur in verschlechtertem Zustand zurückgewähren beziehungsweise herausgeben, müssen Sie uns insoweit Wertersatz leisten. Dies kann dazu führen, dass Sie die vertraglichen Zahlungsverpflichtungen für den Zeitraum bis zum Widerruf gleichwohl erfüllen müssen. Verpflichtungen zur Erstattung von Zahlungen müssen innerhalb von 30 Tagen erfüllt werden. Die Frist beginnt für Sie mit der Absendung Ihrer Widerrufserklärung, für uns mit deren Empfang.
Besondere Hinweise
Ihr Widerrufsrecht erlischt vorzeitig, wenn der Vertrag von beiden Seiten auf Ihren ausdrücklichen Wunsch vollständig erfüllt ist, bevor Sie Ihr Widerrufsrecht ausgeübt haben.
Ende der Widerrufsbelehrung
Kontaktdaten
-
NameHerr Stephan Schulze
-
FirmaSchröder Immobilien
-
AnschriftVon-Somnitz-Ring 4a
21423 Winsen (Luhe) -
E-Mail
-
Telefon
-
Telefon
-
Mobil
-
Fax00494171881833




